火星磁場消失之謎:為巨型小行星碰撞所致


據國外媒體報道,日前,科學家最新研究稱,多次特大小行星碰撞火星事件最終導致火星的磁場徹底消失。
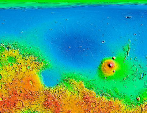
最新研究顯示,特大小行星碰撞導致火星磁場消失。如圖是烏托邦隕坑,其直徑為3.3公里,形成于41億年前,科學家推測該隕坑是第五次小行星碰撞形成的,火星磁場也是從此消失。
基于當前火星表面較大隕坑的存在,科學家認為在火星早期幾億年的時間段中先后遭遇了至少15次特大小行星碰撞,每次這樣的小行星碰撞殺傷性足以殺死地球表面上的恐龍。近期一項最新計算機模擬顯示,火星磁場可能在遭受四次特大小行星碰撞之后就變得十分虛弱,最終在遭受第五次小行星碰撞后,火星磁場就徹底消失了。
美國馬里蘭市約翰-霍普金斯應用物理實驗室研究小組成員詹姆士-羅伯茨(James Roberts)說:“第五次小行星碰撞形成了現今火星表面直徑3.3公里的烏托邦隕坑(Utopia crater),其歷史可追溯至41億年前。很可能前四次小行星碰撞就已基本上摧毀火星磁場,第五次的小行星碰撞作用力就如同‘壓斷了駱駝后背的稻草’一樣。”
地球上擁有磁場是由于熱量在旋轉熔化內核和冷卻地幔層之間傳輸,其間的溫差將有助于形成“發電機效應”,從而維持磁場的持久穩定。但是太陽系首次形成時經歷了一段混亂時期,稱之為“后重轟炸期”,期間一些較大的形成行星的殘留物碰撞轟擊在年輕的火星、地球、金星和水星表面。
羅伯茨稱,正值“后重轟炸期”,火星表面上的烏托邦隕坑形成,大致在相同時間火星磁場完全消失。這項研究報告詳細發表在近期出版的《地球物理學研究雜志》上。依據這項最新計算機模型,烏托邦隕坑注入了大量的熱量進入火星地幔層,徹底地減少了磁場形成的溫差。他告訴美國國家地理雜志新聞頻道記者說:“如果地幔過熱,將無法直接有效地冷卻火星內核,因此也會產生磁場。”
沒有磁場保護,火星將暴露于太陽風的完全灼燒下,太陽風是太陽噴射的持續帶電粒子流,它將緩慢地侵蝕火星大氣層,直至將大氣層削弱成僅包裹著氣體殘留物為止。隨后惡劣的氣候變化將很快到來,從而促進火星表面逐漸轉變成現今的荒蕪模樣。
羅伯茨稱,雖然類似的小行星碰撞產生的破壞力也足以摧毀地球磁場,但要摧毀地球磁場,還需要比火星上遭受的更巨大的小行星碰撞。
地球地幔厚度是火星地幔的兩倍,并且地球內核的攪動更加頻繁,因此很難摧毀地球上的磁場。金星也缺少全球范圍的磁場,但是科學家們認為這是由于金星地幔較干燥和僵硬,因此很難導致熱量流通循環。





